![]() |
Welcome to Newton County, Missouri |
![]() |
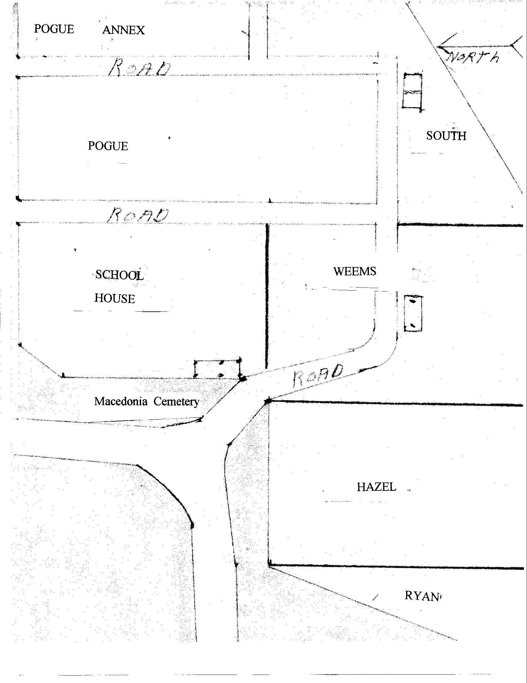
return to list of cemeteries


| AB |
CD |
EF |
GH |
IJ |
KL |
MN |
OP |
QR |
ST |
UV |
WX |
YZ |